안녕하세요 피싱메카 도경준입니다 주말 금오열도 갯바위 출조합니다 1항차 토요일 01시출항 12시철수 단체 예약 마감 입니다 2항차 토요일 04시출항 14시30분철수개인 자리 여유있읍니다 1항차 일요일 단체 예약 마감 입니다...*** 여수 피싱메카 예약 안내 ***예약문의 : 010-3113-4801오시는길 : 전남 여수시 신월동 국동항 소경도대합실홈페이지 : https://mecca.sunsang24.com/
안녕하세요 피싱메카 도경준입니다 주말 금오열도 갯바위 출조합니다 토요일 01시출항 단체 예약 마감 입니다 토요일 04시출항 개인 자리 여유있읍니다 일요일 단체 예약 마감 입니다...*** 여수 피싱메카 예약 안내 ***예약문의 : 010-3113-4801오시는길 : 전남 여수시 신월동 국동항 소경도대합실홈페이지 : https://mecca.sunsang24.com/
안녕하세요 피싱메카 도경준입니다 주말 금오열도 안도 갯바위 감성돔 조황입니다 월요일. 날씨가 별루내요 하루쉽니다화요일 부터 갯바위 촐조합니다 자리 여유있읍니다 연락주세요...*** 여수 피싱메카 예약 안내 ***예약문의 : 010-3113-4801오시는길 : 전남 여수시 신월동 국동항 소경도대합실홈페이지 : https://mecca.sunsang24.com/
안녕하세요 피싱메카 도경준입니다 좋은 날씨에 안도로 갯바위 낚시 즐기고왔습니다 오늘 출조하신 사장님들 수고하셨습니다 내일도 안도로 출조합니다 자리 여유있습니다연락 주세요...*** 여수 피싱메카 예약 안내 ***예약문의 : 010-3113-4801오시는길 : 전남 여수시 신월동 국동항 소경도대합실홈페이지 : https://mecca.sunsang24.com/
안녕하세요 피싱메카 도경준입니다 주말 금오열도 갯바위 출조합니다 01시출항. 13시 현장 철수 자리 여유있읍니다 연락 주세요...*** 여수 피싱메카 예약 안내 ***예약문의 : 010-3113-4801오시는길 : 전남 여수시 신월동 국동항 소경도대합실홈페이지 : https://mecca.sunsang24.com/
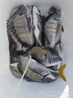
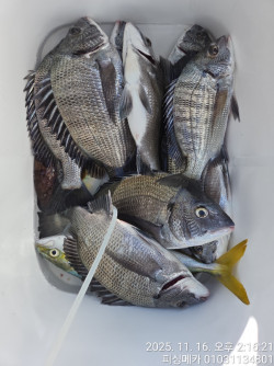
안녕하세요 피싱메카 도경준입니다 26일 금오열도 갯바위 감성돔 조황입니다 오늘도 금오열도 갯바위 감성돔 낚시 즐기고왔습니다 내일도 기상이 않좋게나오내요 내일은 휴항입니다 금요일 부터 다시 달립니다...*** 여수 피싱메카 예약 안내 ***예약문의 : 010-3113-4801오시는길 : 전남 여수시 신월동 국동항 소경도대합실홈페이지 : https://mecca.sunsang24.com/
안녕하세요 피싱메카 도경준입니다 24일 금오열도 갯바위 감성돔 조황입니다 좋은기상에 손님 3분 모시고갯바위 감성돔 낚시 즐기고왔습니다 수고하셨습니다....내일은 기상악화로 하루 쉽니다수요일부터 다시 출조합니다 연락 주세요...*** 여수 피싱메카 예약 안내 ***예약문의 : 010-3113-4801오시는길 : 전남 여수시 신월동 국동항 소경도대합실홈페이지 : https://mecca.sunsang24.com/
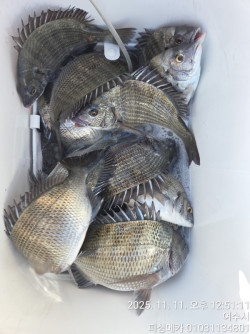
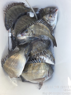
안녕하세요 피싱메카 도경준입니다 23일 일요일 금오열도 갯바위 감성돔 조황입니다 오늘은 포인트 편차가 좀 있네요 마릿수 잡으신분 2~3마리 잡으신분 ㅠ.ㅠ오늘도 출조하신 사장님들 수고하셨습니다 내일도 출조합니다 내일까지 날씨가 좋네요...연락주세요...*** 여수 피싱메카 예약 안내 ***예약문의 : 010-3113-4801오시는길 : 전남 여수시 신월동 국동항 소경도대합실홈페이지 : https://mecca.sunsang24.com/
안녕하세요 피싱메카 도경준입니다 22일 토요일 금오열도 갯바위 감성돔 조황입니다 오늘은 날씨도 좋고 물때도 좋아서인지 여기 저기서 고기들이 골고루 나오네요일요일.월요일 출조합니다 화요일 부터 기상이 삐리하네요...일요일 자리 여유있읍니다 월요일 자리 여유있읍니다 출조 하실분들은 연락주세요 ^^오늘도 수고하셨습니다...*** 여수 피싱메카 예약 안내 ***예약문의 : 010-3113-4801오시는길 : 전남 여수시 신월동 국동항 소경도대합실홈페이지 : https://mecca.sunsang24.com/
안녕하세요 피싱메카 도경준입니다 수요일 갯바위 조황 이제올립니다토요일 4자리 여유있읍니다 일요일 자리 여유있읍니다 월요일 자리 여유있읍니다 주말 01시출항 갯바위14시 철수합니다주중 03시출항 갯바위14시 철수합니다 *** 여수 피싱메카 예약 안내 ***예약문의 : 010-3113-4801오시는길 : 전남 여수시 신월동 국동항 소경도대합실홈페이지 : https://mecca.sunsang24.com/
안녕하세요 피싱메카 도경준입니다 날씨가 않좋안서 2틀 쉬었습니다내일 19일 새벽에 금오열도 갯바위 출조합니다 연락주세요...*** 여수 피싱메카 예약 안내 ***예약문의 : 010-3113-4801오시는길 : 전남 여수시 신월동 국동항 소경도대합실홈페이지 : https://mecca.sunsang24.com/
안녕하세요 피싱메카 도경준입니다 주말 금오열도 갯바위 감성돔 조황입니다 전체적으로 감성돔이 많이들어온거 같은데물힘이 약해서인지 많은 마릿수가 않나오내요월요일.화요일. 기상이 별루내요...수요일 부터 기상이 좋게나오내요 수요일부터 갯바위 촐조합니다 연락주세요 *** 여수 피싱메카 예약 안내 ***예약문의 : 010-3113-4801오시는길 : 전남 여수시 신월동 국동항 소경도대합실홈페이지 : https://mecca.sunsang24.com/
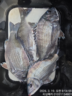
안녕하세요 피싱메카 도경준입니다 13일 금오열도 갯바위 감성돔 조황입니다 오늘도 몇분 모시고 갯바위 감성돔 손맛보고왔습니다내일도 금오열도 갯바위 출조합니다 자리 여유있읍니다 *** 여수 피싱메카 예약 안내 ***예약문의 : 010-3113-4801오시는길 : 전남 여수시 신월동 국동항 소경도대합실홈페이지 : https://mecca.sunsang24.com/
안녕하세요 피싱메카 도경준입니다 내일 부터 기상이 좋게나오내요 목요일 금오열도 갯바위 출조합니다 목요일.금요일 03시 출항. 13시 현장 철수합니다 토요일 01시 출항 13시 현장 철수합니다 일요일 04시 출항 15시 현장 철수합니다 *** 여수 피싱메카 예약 안내 ***예약문의 : 010-3113-4801오시는길 : 전남 여수시 신월동 국동항 소경도대합실홈페이지 : https://mecca.sunsang24.com/
안녕하세요 피싱메카 도경준입니다 11일 금오열도 갯바위 감성돔 조황입니다 몇분 모시고 갯바위 낚시다녀왔습니다내일도 금오열도 갯바위 출조합니다 같이가실분들은 연락 주세요 ...*** 여수 피싱메카 예약 안내 ***예약문의 : 010-3113-4801오시는길 : 전남 여수시 신월동 국동항 소경도대합실홈페이지 : https://mecca.sunsang24.com/
안녕하세요 피싱메카 도경준입니다 9일 금오열도 갯바위 감성돔 조황입니다 비.바람.너울. 힘든 하루였습니다 그래도 감성돔은 나오내요수고들 하셨습니다 화요일 부터 기상이 좋게나오내요 화요일 부터 다시 달립니다 예약들 하세요...*** 여수 피싱메카 예약 안내 ***예약문의 : 010-3113-4801오시는길 : 전남 여수시 신월동 국동항 소경도대합실홈페이지 : https://mecca.sunsang24.com/
안녕하세요 피싱메카 도경준입니다 8일 금오열도 갯바위 감성돔 조황입니다 새벽에 도착했을때는 바다 상황이 좋아는대오전 10시쯤 너울이들어서 힘들었네요 ㅠ.ㅠ그래도 다들 손 맞은 보고 철수했습니다 내일은 예약 마감 입니다 월요일은 기상이 삐리하네요ㅠ.ㅠ 휴항입니다 화요일 부터 기상이 좋게나오내요 화요일 부터 갯바위 촐조합니다 *** 여수 피싱메카 예약 안내 ***예약문의 : 010-3113-4801오시는길 : 전남 여수시 신월동 국동항 소경도대합실홈페이지 : https://mecca.sunsang24.com/
안녕하세요 피싱메카 도경준입니다 토요일 금오열도 갯바위 출조합니다같이가실분들은 연락 주세요...*** 여수 피싱메카 예약 안내 ***예약문의 : 010-3113-4801오시는길 : 전남 여수시 신월동 국동항 소경도대합실홈페이지 : https://mecca.sunsang24.com/
안녕하세요 피싱메카 도경준입니다 6일 금오열도 갯바위 감성돔 조황입니다 포인트 마다 편차가 좀 있네요..잡어와 싸우시는분 마릿수 손맞보신분...내일도 금오열도 갯바위 조황입니다 금요일 자리 여유있읍니다 토요일 자리 여유있읍니다 일요일 예약 마감 입니다...*** 여수 피싱메카 예약 안내 ***예약문의 : 010-3113-4801오시는길 : 전남 여수시 신월동 국동항 소경도대합실홈페이지 : https://mecca.sunsang24.com/
안녕하세요 피싱메카 도경준입니다 4일 금오열도 갯바위 감성돔 조황입니다 6일 금오열도 갯바위 출조합니다 날씨만 허락하면 매일 출조합니다 *** 여수 피싱메카 예약 안내 ***예약문의 : 010-3113-4801오시는길 : 전남 여수시 신월동 국동항 소경도대합실홈페이지 : https://mecca.sunsang24.com/
안녕하세요 피싱메카 도경준입니다 4일 금오열도 갯바위 감성돔 출조합니다 03시 출항. 오후 13시 현장 철수 합니다 연락주세요...*** 여수 피싱메카 예약 안내 ***예약문의 : 010-3113-4801오시는길 : 전남 여수시 신월동 국동항 소경도대합실홈페이지 : https://mecca.sunsang24.com/
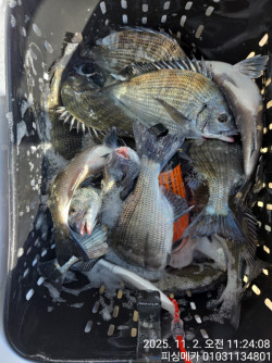
안녕하세요 피싱메카 도경준입니다 11월 2일 시즌 첫 감성돔 갯바위 출조다녀왔습니다썬란인 FG. 회원분들 바람 통에 수고 하셨 습니다내일은 하루 쉬고...화요일부터 다시 갯바위 출조합니다 *** 여수 피싱메카 예약 안내 ***예약문의 : 010-3113-4801오시는길 : 전남 여수시 신월동 국동항 소경도대합실홈페이지 : https://mecca.sunsang24.com/
안녕하세요 피싱메카 도경준입니다 8분이 독배 출항을해서 금오열도 다녀왔습니다 본의아니게 이번 씨즌을 마감하게되었습니다다들 너무 감사드립니디...내년에도 저희 피싱메카. 많은 이용 부탁드립니다 11월 1일부터 금오열도 갯바위 출조합니다 갯바위 출조도 많은 이용 부탁드립니다 ^^*** 여수 피싱메카 예약 안내 ***예약문의 : 010-3113-4801오시는길 : 전남 여수시 신월동 국동항 소경도대합실홈페이지 : https://mecca.sunsang24.com/
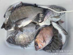
안녕하세요 피싱메카 도경준입니다 29일 금오열도 무늬오징어 조황입니다 7분 모시고 금오열도 다녀 왔습니다 총47수 장원 12수 ...오늘 열심히 흔들신 사장님들 수고하셨습니다 내일은 예약 마감 입니다 금요일 올 씨즌 마지막 무늬오징어 출조합니다 금요일 자리 여유있읍니다 11월 1일부터 금오열도 갯바위 출조합니다 많은 이용 부탁드립니다...*** 여수 피싱메카 예약 안내 ***예약문의 : 010-3113-4801오시는길 : 전남 여수시 신월동 국동항 소경도대합실홈페이지 : https://mecca.sunsang24.com/
안녕하세요 피싱메카 도경준입니다 무늬오징어 몇일 않남았네요29일.30일.31일 시즌 마감 출조합니다 11월1일부터 금오열도 갯바위 출조합니다 *** 여수 피싱메카 예약 안내 ***예약문의 : 010-3113-4801오시는길 : 전남 여수시 신월동 국동항 소경도대합실홈페이지 : https://mecca.sunsang24.com/
안녕하세요 피싱메카 도경준입니다 25일 거문도 무늬 오징어 조황입니다 일단 24일 금오열도 무늬오징어 출조는 폭망하고 철수했습니다 25일 거문도 초저녁엔. 날씨도 좋고 그럭 저럭. 나왔는데시간이 깁어지면서 바람.너울이 ㅠ.ㅠ79수하고 조금 일찍 철수했습니다 월요일까지 휴항입니다 화요일 부터 금요일까지 계속 출조합니다...11월 1일부터 금오열도 갯바위 출조합니다 *** 여수 피싱메카 예약 안내 ***예약문의 : 010-3113-4801오시는길 : 전남 여수시 신월동 국동항 소경도대합실홈페이지 : https://mecca.sunsang24.com/
안녕하세요 피싱메카 도경준입니다 23일 금오열도 무늬오징어 조황입니다 날씨가 않좋와서 몇일 쉬고 나왔는데오늘은 조황이 별루내요 ㅠ.ㅠ오늘 출조하신 사장님들 수고하셨습니다 내일도 출항 합니다 ...금요일 자리 여유있읍니다 토요일 예약 마감 일요일 자리 여유있읍니다 월요일 자리 여유있읍니다 화요일 자리 여유있읍니다 수요일 자리 여유있읍니다 목요일 자리 여유있읍니다 금요일 자리 여유있읍니다 무늬오징어 출조는 10월 31일까지 달립니다11월1일 부터 금오열도 갯바위 출조합니다 *** 여수 피싱메카 예약 안내 ***예약문의 : 010-3113-4801오시는길 : 전남 여수시 신월동 국동항 소경도대합실홈페이지 : https://mecca.sunsang24.com/
안녕하세요 피싱메카 도경준입니다 23일 목요일. 무늬오징어 출조합니다 자리 여유있읍니다 무늬오징어 이달 말까지 출조합니다 11월 1일부터 금오열도 갯바위 출조합니다 *** 여수 피싱메카 예약 안내 ***예약문의 : 010-3113-4801오시는길 : 전남 여수시 신월동 국동항 소경도대합실홈페이지 : https://mecca.sunsang24.com/
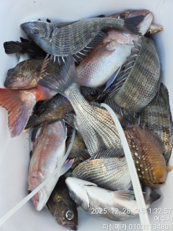
안녕하세요 피싱메카 도경준입니다 19일 금오열도 무늬오징어 조황입니다 기상이 자기 마음대로내요 ㅠ.ㅠ최대한 바람 너울 피해서 흘들고 왔습니다 키로오바 4수 무시 고구만 감자..총 110수 장원 24수...출조하신 사장님들 정말 수고하셨습니다 날씨 때문에 몇일 휴항입니다 무늬오징어 출조는 10 월 31일까지 달립니다...11월 1일부터 금오열도 갯바위 출조합니다 많은 이용 부탁드립니다 *** 여수 피싱메카 예약 안내 ***예약문의 : 010-3113-4801오시는길 : 전남 여수시 신월동 국동항 소경도대합실홈페이지 : https://mecca.sunsang24.com/
안녕하세요 피싱메카 도경준입니다 18일 금오열도 무늬오징어 조황입니다 초저녁엔 날씨가 좋았는데시간이갈수록 바람이터지면서 진입 포인트가 없어지내요ㅠ.ㅠ그래도 우리 사장님들 열심히 흔들어 주신 덕분에키로오바 3수 총107수하고 들어왔습니다 수고들 하셨습니다...일요일 무늬오징어 출조합니다 자리 여유있읍니다...11월 1일부터 금오열도 갯바위 출조합니다 *** 여수 피싱메카 예약 안내 ***예약문의 : 010-3113-4801오시는길 : 전남 여수시 신월동 국동항 소경도대합실홈페이지 : https://mecca.sunsang24.com/





























